조황관리HOME / 조황관리 / 상세정보

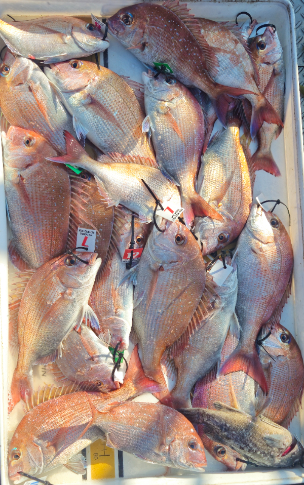
제목 : 22일 남당항 정환호 궂은날씨속 참돔타이라바 조황..
등록일 : 2025-10-23
​궂은날씨에 낚시하시느라 고생많으셨습니다 ​
​감사합니다 

1000021883.jpg


1000021886.jpg


1000021884.jpg


1000021875.jpg


1000021874.jpg


1000021872.jpg


1000021873.jpg



평일출조 추천드립니다....​

* 정환호 9.77 톤 22인승

* 참돔 타이라바 , 광어/우럭다운샷 전문출조


==== 뉴정환호 예약안내 ====

문의전화 : 010-8752-6325
오시는길 : 충남 홍성군 서부면 남당항로 213번길1 복합센터 관리동 103호
홈페이지 : http://jh.sunsang24.com/
Top